競價26輪龍湖18億王舍人片區拿地,新東方外國語將在濟南落地

8月20日,濟南迎來了2020年度最大規模的土地拍賣。其中,孫村片區2宗商業用地終止出讓,25宗土地共1492畝進入交易環節,包含12宗住宅用地、4宗商業用地和8宗工業用地,成交總金額約611811萬元。

這些出讓的地塊中,多數以底價成交:

展開全文

高新區孫村片區地塊被綠城和濟高控股以88596萬元底價摘得,樓面價約5210元/平;

歷下區長嶺山片區B-8地塊被銀豐地產以181311萬元底價摘得,樓面價約11111元/平,銀豐玖璽城的版圖再次擴擴張;

歷城區郭店片區組團地塊被新鷗鵬和新東方以85858萬元底價摘得,最高樓面價約4620元/平,未來這里將建新東方外國語學校;

歷城區蓮花山片區組團地塊被山東煉化以57825萬元底價摘得,最高樓面價約7300元/平,未來山東煉化集團能源總部將在此落地。

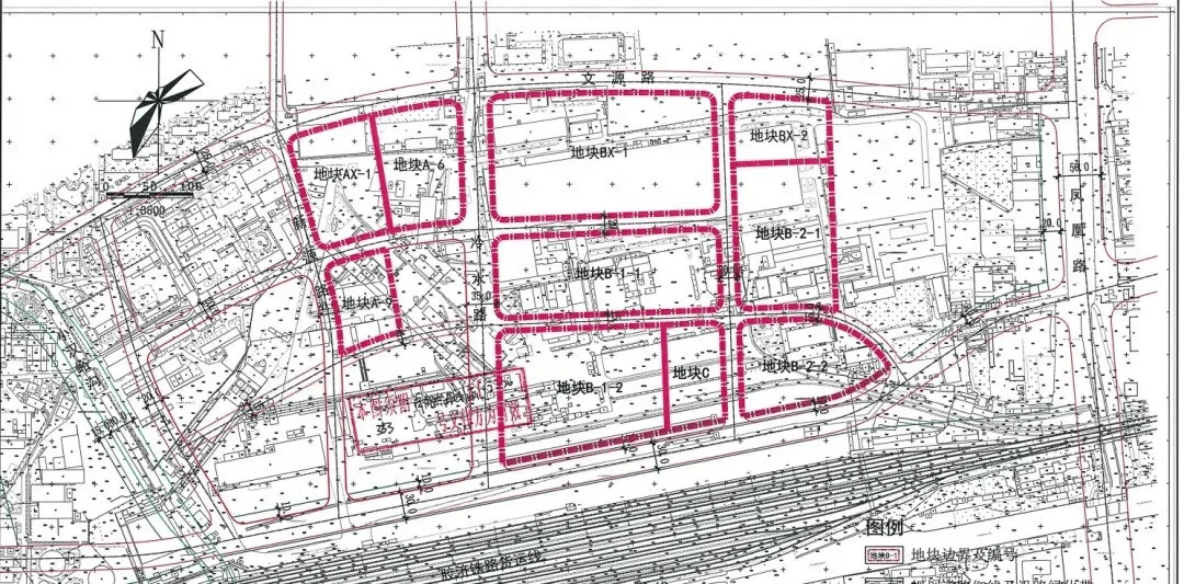
備受關注的歷城區王舍人片區球墨組團6宗地塊,算得上本年度競爭最為激烈的一次土拍了。最後經過26輪競拍,被龍湖以181564萬元拿下,溢價率16.3%,住宅地塊最高樓面價7909元/平,未來龍湖將在此布局第二個TOD項目。

先來看下王舍人片區球墨組團地塊。

球墨組團6宗土地,共計約222畝,包含4宗居住、2宗商業用地,其中住宅用地約128畝。位置在鳳凰路以西,翡翠公館以東,工業北路以北,規劃路以南。球墨地塊2018年9月出讓過2宗地,被海信摘得,就是現在的海信翰墨府項目。

這個組團地塊位置不錯,靠近鳳凰路和工業北路,還有3條地鐵交匯。另外,地塊未來的產業規劃也很豐富,歷城區將引進國務院下屬科研院所,還有5個國家級創新平台、 5 個國家級學術組織和 2 個國際科技合作平台。這6宗地掛牌條件沒有太多限制,所以在拍地之初就有龍湖、天鴻和萬虹報名,最終龍湖技高一籌,對土地勢在必得。

球墨組團地塊將為區域帶來約18萬方的住宅供應,同時地塊周邊住宅項目不少,有海信翰墨府、翡麗公園、天鴻萬象東方、中糧祥雲,還有張馬片區的多家樓盤在售,未來區域競爭壓力不小。

長嶺山片區B-8地塊

這個地塊位於鳳凰路以東,鳳山南路以南。屬於第二次出讓,第一次因為涉及外資門檻流拍,這次取消了外資,但設置了其他嚴苛的掛牌條件,同時還有回購房源,住宅房源須於2022年12月31日前交付。

這塊地據之前消息稱,除了銀豐還有另外兩家房企有意向,但是最終沒有報名。這塊地銀豐不拿,別的房企也不敢拿了,畢竟銀豐在這個片區開發了180萬方的銀豐玖璽城,可以說是片區內的老大哥了,未來,銀豐玖璽城的版圖將再次擴大。

地塊周邊的在售項目有銀豐玖璽城、金茂府、鉑悅鳳犀台、璟仕府、璟悅府,參考價格在18500-22000元/平。

郭店片區組團地塊

郭店片區的5宗地西至虞山、東至楊家河、南至虞山大道、北至虞山北路,含4宗住宅地塊及1宗商服地塊,住宅最高容積率1.8,臨近山東協和學院郭店校區。

2018年9月,俞敏洪與濟南簽署《濟南新東方外國語學校合作辦學協議》,根據公開信息,學校位於歷城區郭店街道辦事處虞山公園山體東側地塊,占地約120-150畝左右,建築面積約10-12萬平方米,總投資約 8-10億元人民幣。2019年11月,郭店片區14街區控制性規劃出爐,到今天地塊成功出讓,標志著新東方外國語學校終於在濟南實現落地。

從一開始這個地塊就是為新東方外國語學校量身定製的,再看看掛牌條件里的那些要求,生怕被別的房企搶去。據悉,新東方將和新鷗鵬聯合開發。

未來住宅項目怎麼開發,是不是也要開發教育小鎮,看規劃吧。目前片區內有中鐵建花語時光、榮盛華府、東城儷景等項目在售,參考價格1萬/平,不過片區內不利因素比較多,臨近近工業區和物流區。

近幾年來,私立外國語學校建成招生的並不在少數。比如新航實驗外國語學校、深泉外國語學校、黃河雙語實驗學校、協和雙語實驗學校、楓葉雙語學校、章丘雙語國際學校、天山外國語學校、托馬斯實驗學校等,新東方外國語學校的落地,未來無疑又是一大強有勁的競爭,這麼多冠以雙語、外國語的高端民辦私立學校,究竟怎麼樣?並不好作出評判,只能看每家的教學質量和師資力量來抉擇了。

孫村片區地塊

孫村片區的1宗地之所以受關注,因為在孫村片區的房企規劃幾乎可以和張馬片區相媲美。目前孫村片區入駐的開發商有中海、龍湖、萬科、海信、碧桂園、金茂、融創等,本次綠城聯合濟高控股8.8億底價拿地,首次進駐高新東區,未來的房地產市場也將處於白熱化的競爭期。

地塊位於春秀路東側、科創路西側、科航路南側,北面是烯谷國際中心,東側是中國中車濟南高新產業園區,山東愛普電氣智能裝備產業園。片區內項目較為集中,彩虹谷、龍湖春江彼岸、中海雲麓公館、金茂墅,平均售價在11000-13000元/平。

從最近幾次土地出讓的情況來看,雖然說底價成交占大多數,且前期熟化和儲備地為主,但是土地價格確實也上漲了,但目前在「房住不炒」的大環境下,特別是今年疫情以來,房價並沒有漲多少,不少開發商即便是新項目入市,還是以價換量為主。

從下半年的行情來看,新入市的項目並不會太多,但濟南存量盤還有不少,前段時間的統計數據顯示,近三年(2017-2020年度),濟南共255個項目中62個項目未動工,用地面積占存量住宅用地面積超兩成。這也意味著,加上下半年新拿地的項目,未來濟南樓市的庫存體量還非常大的,去庫存仍是開發商最大的難題,適時出手,對剛需來說確實是個好時機。


作筆記是好習慣,給你新想法

連結筆記